Skip to main content
Ron Durrett
FOR SALE
$899,900

10340 Prospect
Santee, CA 92071

Farm
Residential
N/A
Acre Lot
Courtesy: Aj George - AJGCRE, Preferred: 858-598-3589
Home> California> Santee> 92071
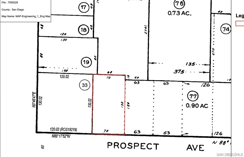
**Prime Commercial Land Opportunity in San Diego County** Discover a rare investment opportunity in San Diego County! We present two commercial parcels, each with a potential high cap rate for land development. The FAA has a preliminary approval approved for storage/equipment parking use on these vacant lots, totaling 1.34 acres. **Key Features:** - Parcel 1 (APN 384-410-76-00): 31,798 sq. ft. - Parcel 2 (APN 3385-410-20-00): 26,571 sq. ft. - FAA Preliminary Approval for Storage Use - Gillespie Field Overlay Zone - Light Industrial Zoning - Triple Net Lease Option: $8,500 for both parcels - Individual Parcel Lease Rates: $3,719 (Parcel 1) and $4,451 (Parcel 2) - Convenient Ingress and Egress on West Side (East May be Availble) **Additional Information:** - The adjacent parcel, grandfathered for two single-family residences, may be available for sale. Call the Agent for details and/or to submit an offer. - Located in the Gillespie Field Compatibility Zone, ensuring strategic development. - Check the Gillespie Community Land Use Plan (Page 32), and Gillespie Field Compatibility Plan (Pages 71-72, 107-112) for detailed zoning insights. **Sales Details:** - Total Sales Price: $899,900 - Acreage: 1.34 acres (58,369 sq. ft.) **Important Notes:** - No structures can be built under the Gillespie Community Land Use Plan and avigation easement on this particular property. - Verify all information with the FAA, the County of San Diego, and the city of Santee for approvals.
250044063
Farm, Other
San Diego
True https://photos.prod.cirrussystem.net/10112/d39d91982d3353a85e15a9b4b0d6151c/2476040998.jpeg?format=webp 250044063
Loading...
Data Source: Constellation Data Labs®
The scores below measure the walkability of the address, access to public transit of the area and the convenience of using a bike on a scale of 1-100

Walk Score

Transit Score

Bike Score

Loading...
Data Provided by ATTOM Data®

Estimated Payment:

Principle & Interest
Taxes
Insurance
%
%
Courtesy: Aj George - AJGCRE, Preferred: 858-598-3589
San Diego MLS logo
This information is deemed reliable but not guaranteed. You should rely on this information only to decide whether or not to further investigate a particular property. BEFORE MAKING ANY OTHER DECISION, YOU SHOULD PERSONALLY INVESTIGATE THE FACTS (e.g. square footage and lot size) with the assistance of an appropriate professional. You may use this information only to identify properties you may be interested in investigating further. All uses except for personal, noncommercial use in accordance with the foregoing purpose are prohibited. Redistribution or copying of this information; any photographs or video tours is strictly prohibited. This information is derived from the Internet Data Exchange (IDX) service provided by San Diego MLS. Displayed property listings may be held by a brokerage firm other than the broker and/or agent responsible for this display. The information and any photographs and video tours and the compilation from which they are derived is protected by copyright. Compilation © 2026 San Diego MLS.” Please note: Each year, you must update the “Compilation © 2026 San Diego MLS 
This content last refreshed on 4/20/2026 9:17 PM CST. Some properties which appear for sale on this web site may subsequently have sold or may no longer be available.
Information is deemed reliable but is not guaranteed.